Inventaire général du patrimoine culturel
Région des Pays de la Loire/Service du Patrimoine
Ville d'Angers - Service Patrimoine Historique, Inventaire
inventaire topographique

Pays de la Loire, Maine-et-Loire

Angers, Centre-ville (quartier), Alsace (rue d') 9

Hôtel du pharmacien Jules Herbert

Type de dossier : individuel Oeuvre sélectionnée Date de l'enquête : 1982

Désignation

Dénomination : hôtel
Genre du destinataire : de pharmacien
Appellation et titre : hôtel Herbert
Partie(s) constituante(s) non étudiée(s) : cour ; boutique ; écurie

Compléments de localisation

Référence(s) cadastrale(s) : 1980 BV 107 ; 1999 BV 107
Numéro INSEE de la commune : 49007
Aire : Angers intra-muros
Canton : Angers Centre
Milieu d'implantation : en ville

Historique

Commentaire historique : L'hôtel est construit vers 1872 (datation par source) par l'architecte Auguste Beignet (attribution par travaux historiques) pour le pharmacien Jules Herbert : les deux serpents s'enroulant autour de palmiers, motifs sculptés principaux de l'élévation antérieure, font référence à la profession du maître d'ouvrage. L'usage commercial du rez-de-chaussée existe dès l'origine (d'après source). Les lucarnes sur rue semblent avoir souffert de ravalements.
Datation(s) principale(s) : 3e quart 19e siècle
Date(s) : 1872
Justification de la datation : daté par source
Auteur(s) : Beignet Auguste (architecte)
Justification de l'attribution : attribution par travaux historiques
Personne(s) liée(s) à l'histoire de l'oeuvre : Herbert Jules, pharmacien (commanditaire)

Description

Commentaire descriptif : Logis sur rue, avec boutique, traversé par un passage couvert qui dessert, à mi-parcours le vestibule et l'escalier, puis une écurie au fond d'une petite cour. Seules les parties visibles sont en tuffeau appareillé. La façade antérieure, à deux étages carrés et comble brisé à surcroît, arbore un parement à bossages et un riche décor ornemental. Un balcon continu souligne l'étage noble au-dessus de la boutique. La façade postérieure en moellon de schiste enduit, couverte d'un long pan et sans lucarnes, constitue une façade secondaire, sur la cour de service.
Matériau(x) de gros-oeuvre et mise en oeuvre : tuffeau ; moyen appareil ; bossage ; schiste ; moellon ; enduit ; appareil mixte
Matériau(x) de couverture : ardoise
Vaisseau(x) et étage(s) : sous-sol ; 2 étages carrés ; comble à surcroît
Parti d'élévation extérieure : élévation à travées
Type de la couverture : toit à longs pans brisés ; toit à longs pans ; pignon couvert
Emplacement, forme et structure de l'escalier : escalier dans-oeuvre : escalier tournant à retours avec jour, en maçonnerie, suspendu
Technique du décor : sculpture ; fonderie
Représentation : symbole professionnel : caducée ; palmier, chute, cartouche, pointe de diamant, cuir découpé, grecque ; volute
Précision sur la représentation : La façade sur rue présente un riche décor sculpté. La travée centrale est encadrée sur la hauteur des deux étages carrés de tables sculptées portant une manière de caducée des pharmaciens (serpents s'enroulant sur des palmiers) et des chutes de fleurs et de fruits. Les fenêtres sont surmontées de corniches à ressauts abritant un cuir découpé à médaillon (baie axiale du premier étage) et des tables à pointe de diamant. La corniche est soulignée d'une frise de grecques et de modillons. Le balcon continu du premier étage est à motif de volutes.
Typologie : Hôtel sans cour d'entrée (type C).
Etat de conservation : restauré

Intérêt de l'oeuvre

Elément(s) remarquable(s) : élévation
Observations : Edifice représentatif de l'évolution des demeures de notables au 19e siècle, plus proche de la maison bourgeoise que de l'hôtel aristocratique par son développement relativement modeste (3 travées sur rue) et son système distributif exclusivement tourné vers la rue.

Situation juridique

Statut de la propriété : propriété privée

Vue de situation.


Illustrations

Fig. 1
Vue de situation.
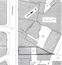
Fig. 2
Plan-masse et de situation. D'après le plan cadastral, 1980, section BV, parcelle 107, éch. 1 : 500, agrandi.
Fig. 3
Plan schématique de couverture.
Fig. 4
Façade sur rue, en 1990.
Fig. 5
Façade sur rue, en 1990 : détail sur la travée centrale.
Fig. 6
Elévation postérieure (à droite sur la photo).
Fig. 7
Ancienne écurie : élévation sur cour.
Fig. 8
Vestibule : départ de l'escalier.

Voir

Angers, Présentation de l'aire d'étude Angers intra-muros
Angers, Centre-ville (quartier), Demeures du centre historique (intra-muros)
Angers, Centre-ville (quartier), L'habitat communal

Région des Pays de la Loire - Service du Patrimoine / Ville d'Angers - Service Patrimoine Historique, Inventaire. Chercheur(s) : Letellier-d'Espinose Dominique ; Biguet Olivier. (c) Région Pays de la Loire - Inventaire général ; (c) Ville d'Angers. Renseignements : Centre de ressources, 1 rue de la Loire, 44966 Nantes cedex 9, tél. 02 28 20 54 70 - courriel : doc.patrimoine@paysdelaloire.fr - Document produit par Renabl6 : (c) Pierrick Brihaye (Région Bretagne) / Yves Godde (Ville de Lyon)